売地
橋本市隅田町下兵庫土地
「橋本市隅田町下兵庫土地」のここがイチオシ。こちらは住宅用地です。土地のご購入をお考えなら、ぜひこちらの298万円の土地を。通風採光やプライバシーが確保しやすく、また良い眺望が期待できる傾斜地。自分のライフスタイルに合う、快適な住まい探しを当社がお手伝いいたします。まずはご希望条件などをスタッフへお気軽にお聞かせください。ご連絡をお待ちしております。
| 所在地 |
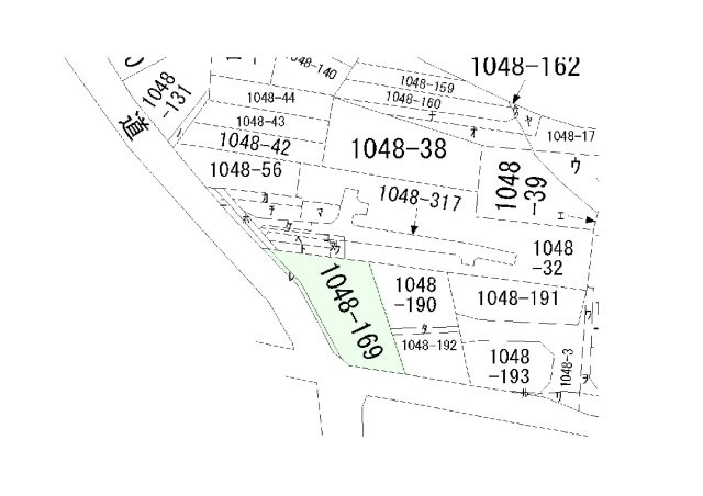
和歌山県橋本市隅田町下兵庫1048-169 地図を見る |
||
|---|---|---|---|
| 価格 |
298万円 ローンシミュレーション |
||
| 交通 | 和歌山線 下兵庫駅 徒歩8分 | 土地面積 | 396.00㎡ |
この物件にお問い合わせ
いい部屋ネット 奈良南店
0800-100-8076
- 営業時間
- 10:00~18:00【12:30~13:30は昼休憩】
- 定休日
- 毎週火・水曜日
物件特徴
駅徒歩10分以内
更地
物件詳細
| 所在地 | 和歌山県橋本市隅田町下兵庫1048-169 | ||
|---|---|---|---|
| 交通 | 和歌山線 下兵庫駅 徒歩8分 | ||
| 価格 | 298万円 | ||
| 土地の敷金/保証金 | -/- | 借地料/借地期間 | -/- |
| 土地面積(坪数) | 396.00㎡(119.79坪) | 坪単価 | 2.49万円 |
| 私道負担面積/セットバック | -/無 | 高圧線下面積 | - |
| 傾斜地部分面積 | 100% | 路地状敷地 | - |
| 土地権利 | 所有権 | 接道状況 | 一方 |
| 都市計画 | 非線引区域 | 用途地域 | 無指定 |
| 建築条件 | - | 地目/地勢 | 山林/傾斜地 |
| 建ぺい率 | 60% | 容積率 | 200% |
| 総区画数 | 1区画 | 販売区画数 | - |
| 国土法届出要否 | 不要 | その他の法令上の制限 | - |
| 取引態様 | 一般媒介 | 現況 | 更地 |
| 引渡時期 | 相談 | 引渡条件 | - |
| 最適用途 | 住宅用地 | ||
| 物件番号 | 101836461 | 取引条件の有効期限 | 2026年03月27日 |
| 情報更新日 | 2026年03月13日 | 次回更新予定日 | 2026年03月27日 |
| 設備条件 |
|
||
| 備考 | 日々の暮らしに便利なプロマート 橋本店(スーパー)まで305mです。土地のご購入をお考えなら、ぜひこちらの298万円の土地を。専門知識がないからと不動産探しの疑問や不安をそのままにしていませんか。お客様第一の当社はお客様に納得・満足いただけるよう、親切丁寧なアドバイスを心がけております。ぜひお気軽にお問い合わせください。 | ||
| 取扱会社 |
いい部屋ネット 奈良南店 TEL:0800-100-8076 国土交通大臣 (2) 第9120号 全国住宅産業協会 関西住宅産業協会 日本賃貸住宅管理協会 |
||
※価格は物件の代金総額を表示しており、消費税が課税される場合は税込と表記の上、税込価格で表示しております。
※現況と異なる場合には現況を優先します。
この物件へのお問い合わせはこちら
いい部屋ネット 奈良南店
お電話でのお問い合わせ
0800-100-8076
- 営業時間
- 10:00~18:00【12:30~13:30は昼休憩】
- 定休日
- 毎週火・水曜日
WEBからのお問い合わせ
お問い合わせローンシミュレーション
※この物件を購入した場合の、月々の支払い価格の一例です。借り入れを保証するものではございません。
毎月の返済額
00.00
万円/月
- 金利
- 00.00万円/月
- 元金
- 00.00万円/月
- 年間の返済額
- 00.00万円/年
この物件へのお問い合わせはこちら
*は必須項目です。
店舗情報
| 店舗名 | いい部屋ネット 奈良南店 | ||
|---|---|---|---|
| お問い合わせ先 | 0800-100-8076 | ||
| 営業時間 | 10:00~18:00【12:30~13:30は昼休憩】 | 定休日 | 毎週火・水曜日 |
| 住所 |
奈良県橿原市木原町238-3 アルドール橿原 1階
|
||
| 免許番号 |
国土交通大臣 (2) 第9120号 加盟 : 全国住宅産業協会 関西住宅産業協会 日本賃貸住宅管理協会 |
||