中古一戸建
岐阜市諏訪山1丁目戸建
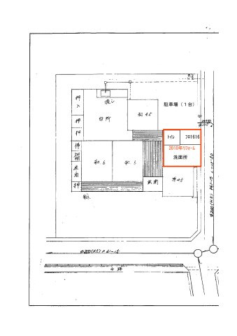
500万円以下で手に入る中古戸建て住宅です。ご自宅としての利用もOK、賃貸事業としてご購入でもOKです。(入居者のあっせん業務も賜れます。)駐車場1台駐車可能、トイレ・お風呂(1616)洗面所は2010年にリフォーム済みです。現時点では売主の荷物が残っていますが、内覧希望の際は、お気軽にご連絡ください。
| 所在地 |
岐阜県岐阜市諏訪山1丁目18番 地図を見る |
||
|---|---|---|---|
| 価格 |
400万円 ローンシミュレーション |
||
| 交通 | 名鉄各務原線 各務原市役所前駅 徒歩68分 | ||
| 築年数 | 築57年 | 建物面積 | 95.74㎡ |
| 間取り | 4DK | 土地面積 | 170.73㎡ |
この物件にお問い合わせ
いい部屋ネット 中村公園店
0800-111-4463
- 営業時間
- 10:00~12:30 13:30~18:00
- 定休日
- 火曜日・水曜日 夏季休暇/冬季休暇あり 4月9日(木)・16日(木)休業・23日(木)午前休業
物件特徴
角地
南道路
平坦地
低層住居
物件詳細
| 所在地 | 岐阜県岐阜市諏訪山1丁目18番 | ||
|---|---|---|---|
| 交通 | 名鉄各務原線 各務原市役所前駅 徒歩68分 | ||
| 間取り/詳細 |
4DK/ 和室 6.0帖/和室 6.0帖/和室 4.5帖/洋室 4.5帖/DK 8.0帖 |
建物面積(坪数) | 95.74㎡(28.96坪) |
| 価格 | 400万円 | ||
| 駐車場/月額料金 | -/- | ||
| 土地の敷金/保証金 | -/- | 借地料/借地期間 | -/- |
| 土地権利 | 所有権 | 土地面積(坪数) | 170.73㎡(51.64坪) |
| 傾斜地部分面積 | - | 路地状敷地 | - |
| 私道負担面積/セットバック | -/無 | 高圧線下面積 | - |
| 地目/地勢 | 宅地/平坦 | 接道状況 | 角地(南 公道 5.0m 間口 10.4m)(東 公道 6.0m 間口 13.1m) |
| 建ぺい率/容積率 | 50%/80% | 用途地域 | 第一種低層住居専用 |
| 都市計画 | 市街化区域 | 種別/構造 | 中古一戸建/木造 |
| 階建 | 1階建 | 築年月(築年数) | 1969年 4月 (築57年) |
| 総区画数/販売区画数 | -/- | 向き | - |
| 現況 | 居住中 | その他の法令上の制限 | - |
| 取引態様/引渡時期 | 一般媒介/相談 | 建築確認番号 | - |
| 物件番号 | 98097021 | 取引条件の有効期限 | 2026年05月01日 |
| 情報更新日 | 2026年04月17日 | 次回更新予定日 | 2026年05月01日 |
| 設備条件 |
|
||
| 備考 | 南東の角地物件です。前面道路は約6mで駐車もゆっくりできます。こちらの物件はいかがでしょうか。価格は600万円です。岐阜市での新生活を当社がサポート致します。不動産の購入についてお困りの点などございましたら、ぜひご連絡くださいませ。 | ||
| 取扱会社 |
いい部屋ネット 中村公園店 TEL:0800-111-4463 国土交通大臣 (2) 第9120号 愛知県宅地建物取引業協会 全国住宅産業協会 関西住宅産業協会 日本賃貸住宅管理協会 |
||
※価格は物件の代金総額を表示しており、消費税が課税される場合は税込と表記の上、税込価格で表示しております。
※現況と異なる場合には現況を優先します。
この物件へのお問い合わせはこちら
いい部屋ネット 中村公園店
お電話でのお問い合わせ
0800-111-4463
- 営業時間
- 10:00~12:30 13:30~18:00
- 定休日
- 火曜日・水曜日 夏季休暇/冬季休暇あり 4月9日(木)・16日(木)休業・23日(木)午前休業
WEBからのお問い合わせ
お問い合わせローンシミュレーション
※この物件を購入した場合の、月々の支払い価格の一例です。借り入れを保証するものではございません。
毎月の返済額
00.00
万円/月
- 金利
- 00.00万円/月
- 元金
- 00.00万円/月
- 年間の返済額
- 00.00万円/年
周辺情報
-

バロー
約1524m/20分 -
セブンイレブン
約1429m/18分
この物件へのお問い合わせはこちら
*は必須項目です。
店舗情報
| 店舗名 | いい部屋ネット 中村公園店 | ||
|---|---|---|---|
| お問い合わせ先 | 0800-111-4463 | ||
| 営業時間 | 10:00~12:30 13:30~18:00 | 定休日 | 火曜日・水曜日 夏季休暇/冬季休暇あり 4月9日(木)・16日(木)休業・23日(木)午前休業 |
| 住所 |
愛知県名古屋市中村区豊国通1丁目2番地 中央ビル2階
|
||
| 免許番号 |
国土交通大臣 (2) 第9120号 加盟 : 愛知県宅地建物取引業協会 全国住宅産業協会 関西住宅産業協会 日本賃貸住宅管理協会 |
||
担当者コメント
1,000万円以下で手に入る中古戸建て住宅です。ご自宅としての利用もOK、賃貸事業としてご購入でもOKです。(入居者のあっせん業務も賜れます。)駐車場1台駐車可能、トイレ・お風呂(1616)洗面所は2010年にリフォーム済みです。現時点では売主の荷物が残っていますが、内覧希望の際は、お気軽にご連絡ください。