売地
古橋土地
瑞穂市エリアでの住まいなら、住み心地も快適な「古橋土地」はいかがでしょうか。徒歩4分の場所に瑞穂市立南小学校があります。こちらは住宅用地です。価格1,060万円の土地です。土地選びで何かお困りの点がございましたら、お気軽にお問い合わせください。当社スタッフと一緒に、お客様のご希望の条件に合った土地を探しましょう。
| 所在地 |
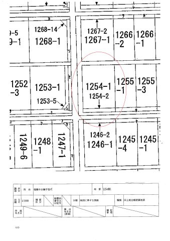
岐阜県瑞穂市古橋1254番地1 地図を見る |
||
|---|---|---|---|
| 価格 |
1,060万円 ローンシミュレーション |
||
| 交通 | 樽見鉄道 横屋駅 徒歩8分 | 土地面積 | 295.00㎡ |
この物件にお問い合わせ
いい部屋ネット 岐阜店
0800-100-7048
- 営業時間
- 10:00~18:00 12:30~13:30は昼休憩
- 定休日
- 火曜日・水曜日 ・夏季、冬季休暇あり
物件特徴
南道路
駅徒歩10分以内
平坦地
物件詳細
| 所在地 | 岐阜県瑞穂市古橋1254番地1 | ||
|---|---|---|---|
| 交通 | 樽見鉄道 横屋駅 徒歩8分 | ||
| 価格 | 1,060万円 | ||
| 土地の敷金/保証金 | -/- | 借地料/借地期間 | -/- |
| 土地面積(坪数) | 295.00㎡(89.23坪) | 坪単価 | 11.88万円 |
| 私道負担面積/セットバック | -/無 | 高圧線下面積 | - |
| 傾斜地部分面積 | - | 路地状敷地 | - |
| 土地権利 | 所有権 | 接道状況 | 一方(南 公道 5.9m) |
| 都市計画 | 市街化区域 | 用途地域 | 第一種中高層住居専用 |
| 建築条件 | - | 地目/地勢 | 田/平坦 |
| 建ぺい率 | 60% | 容積率 | 200% |
| 総区画数 | - | 販売区画数 | - |
| 国土法届出要否 | 不要 | その他の法令上の制限 | - |
| 取引態様 | 一般媒介 | 現況 | 未造成 |
| 引渡時期 | 相談 | 引渡条件 | 現況渡 |
| 最適用途 | 住宅用地 | ||
| 物件番号 | 92745056 | 取引条件の有効期限 | 2026年01月21日 |
| 情報更新日 | 2026年01月07日 | 次回更新予定日 | 2026年01月21日 |
| 設備条件 | |||
| 備考 | 「古橋土地」のここがイチオシ。徒歩4分の場所に瑞穂市立南小学校があります。アップダウンの少ない平坦地です。日当たりを重視している方に適した南側道路になります。地元を知り尽くしているスタッフの揃う当社だから、安心感が違います。ぜひお客様のこだわりを教えてください。住まいにご満足いただけるよう、全力でお手伝いいたします。 | ||
| 取扱会社 |
いい部屋ネット 岐阜店 TEL:0800-100-7048 国土交通大臣 (2) 第9120号 岐阜県宅地建物取引業協会 全国住宅産業協会 関西住宅産業協会 日本賃貸住宅管理協会 |
||
※価格は物件の代金総額を表示しており、消費税が課税される場合は税込と表記の上、税込価格で表示しております。
※現況と異なる場合には現況を優先します。
この物件へのお問い合わせはこちら
いい部屋ネット 岐阜店
お電話でのお問い合わせ
0800-100-7048
- 営業時間
- 10:00~18:00 12:30~13:30は昼休憩
- 定休日
- 火曜日・水曜日 ・夏季、冬季休暇あり
WEBからのお問い合わせ
お問い合わせローンシミュレーション
※この物件を購入した場合の、月々の支払い価格の一例です。借り入れを保証するものではございません。
毎月の返済額
00.00
万円/月
- 金利
- 00.00万円/月
- 元金
- 00.00万円/月
- 年間の返済額
- 00.00万円/年
周辺情報
-

瑞穂市立南小学校
約306m/4分 -

Vドラッグ 穂積西店
約1446m/19分
この物件へのお問い合わせはこちら
*は必須項目です。
店舗情報
| 店舗名 | いい部屋ネット 岐阜店 | ||
|---|---|---|---|
| お問い合わせ先 | 0800-100-7048 | ||
| 営業時間 | 10:00~18:00 12:30~13:30は昼休憩 | 定休日 | 火曜日・水曜日 ・夏季、冬季休暇あり |
| 住所 |
岐阜県岐阜市茜部大川1丁目111-1
|
||
| 免許番号 |
国土交通大臣 (2) 第9120号 加盟 : 岐阜県宅地建物取引業協会 全国住宅産業協会 関西住宅産業協会 日本賃貸住宅管理協会 |
||